4851 Black Horse Pike (Rt 42), Out of State, Out of State 00000

Status: Active

N/A

YEAR BUILT

$925,000

LISTING PRICE

Retail

TYPE

MLS#: RX-11104833

Type of Building: Other


For More Information Call:

561-283-4663

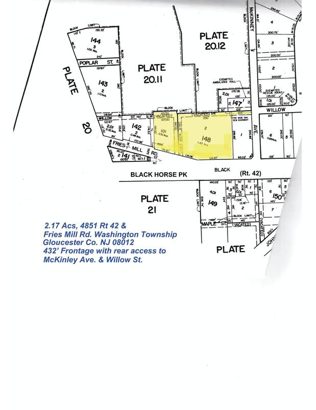
2.17 Acres ground lease or sale, 4851 Rt. 42 (Black Horse Pike) Blackwood, NJ 08012 At the traffic signal, corner of Fries Mill Rd Washington Township, Gloucester County, NJ 190' of frontage 0n Rt. 42 & 240' on Fries Mill Rd.Up to 75% owner financingThe number of cars passing by the site per day: 51,093 CarsZoning: Highway Commercial Letter of interpretation on file: No wetlandsEasement access to McKinley Ave. & Willow St. from behind MidasCity Water & Sewer Combination of 2 lots: 1.56 Acres + 0.61 Acre Vacant Land, ready for development. Will subdividePopulation: 179,473Avg Household income $116,659 $130,066 $112,330


Broker Reciprocity Logo

This listing is courtesy of Atlantic Florida Properties Inc. Real Estate and Luxury homes in Boca Raton, Delray Beach, Deerfield Beach, Juno Beach, 0 Lake Worth, Palm Beach Gardens, West Palm Beach and surrounding areas in Palm Beach County and South Florida. Property Listing Data contained within this site is the property of Brevard MLS and is provided for consumers looking to purchase real estate. Any other use is prohibited. We are not responsible for errors and omissions on this web site. All information contained herein should be deemed reliable but not guaranteed, all representations are approximate, and individual verification is recommended.

BeachesMLS Logo

All listings featuring the BMLS logo are provided by BeachesMLS Inc. This information is not verified for authenticity or accuracy and is not guaranteed. Copyright 2025 Beaches Multiple Listing Service, Inc.

  • Acres2.17 acres
  • Available DocumentsEnviro. Audit-PH1, Previous Title and Survey
  • Available InformationDeed, Drawings, Environmental Study, Existing Survey and Photos
  • CityOut of State
  • CoolingOther
  • CountyOut of State
  • DirectionsFrom North: Rt. 42 S. pass Exit 7 & immediately stay on the 2 right lanes, continue about one Mile to just past McKinley Ave, on the corner of Fries Mill Rd.
  • Fire ProtectionNone
  • FlooringOther
  • For LeaseNo
  • For SaleYes
  • HeatingOther
  • LeaseLand Lease and Net Rent
  • Lease Price SqFt$0.72 / sqft
  • Lease Year67,200
  • Legal DescriptionBLK:148 DIST:18 CITY/MUNI/TWP:WASHINGTON TWP ADDITIONAL LOTS: :142,1.01 MAP REF:TAX MAP 22
  • List Price$925,000
  • Listing DateThursday, July 3rd, 2025
  • Listing IDRX-11104833
  • Listing Price$925,000
  • Listing StatusActive
  • LocationCentral Business Dst and City
  • Miscellaneous 2Rear Access and Traffic Light
  • Property DescriptionPrime Commercia Lan
  • Property TypeCommercial
  • Real Estate Taxes$12,447
  • RoofOther
  • Sale IncludesLand Only
  • SqFt SourceOther
  • State/ProvinceOut of State
  • StatusActive
  • Status Change DateThursday, July 3rd, 2025
  • Street NameBlack Horse Pike (Rt 42)
  • SubdivisionPrime Commercial Land
  • Tax Year2025
  • Tenant PaysCable, Electric, Insurance and Taxes
  • Terms ConsideredCash, Exchange, Lease Purchase, Owner and Will Rent
  • Total Units in Building2
  • TypeRetail
  • Type of BuildingOther
  • UtilitiesElectric, Public Sewer and Water Available
  • Virtual TourYes
  • WaterfrontNo
  • ZoningGeneral Commerc

Share